巴蓬台风什么时候过海南;台风巴蓬对海南有影响吗
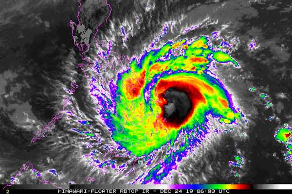
12月24日中午起,已靠近菲律宾陆地的台风巴蓬开始迅猛加强。云图动画显示,巴蓬边登陆菲律宾、边构建台风眼,在穿过萨马岛、莱特岛后,台风眼已经非常清晰。数据显示,巴蓬眼区边缘气压降到980百帕以下。这说明,巴蓬已是不折不扣的较强台风,中心附近最大风力已达12级以上。

12月24日下午到晚上巴蓬云图动画。来自SSD
为什么巴蓬登陆后还能加强?首先,巴蓬的头顶有南北“双急流”罩着,高空环境好到让北冕惭愧;其次,巴蓬登陆的地方,山也不高,旁边的海水也很温暖;最关键的是,巴蓬有异常强大的副高支持,底层辐合极强。因此,在掠过民都洛岛高山前,巴蓬还将在菲律宾内海维持强度甚至继续加强,成为强台风的可能性不能排除。菲律宾中部将迎狂风暴雨,这两天宿雾岛、薄荷岛也会受外围影响。
巴蓬的高层流场显示,它有极为发达的高层流出。来自CIMSS
正因为副高特别强,所以巴蓬的路径在南调,有可能在民都洛岛以南进入我国南海;因为副高特别西,且正好碰上深邃的南支槽东移,巴蓬将罕见地来到西沙西南海面。在此,南海水温急剧降低,垂直风切变迅速增大,巴蓬的核心环流将被撕碎,就地解体,北上登陆我国陆地的可能性不大。
ECMWF对巴蓬的集合分析,中气爱制作
然而,巴蓬的丰沛水汽和强大雨带,将坐上南支槽的“北上号”列车,先后掠过海南东部、广东和福建,从12月27日下午起,海南早一点,广东次之,福建最晚。正如我们上篇文章所说,有气象纪录以来,12月下旬从未有过台风雨带进入我国。在这个时候,巴蓬在南海之强、西进南海之深、雨带北上之远,均为史无前例。
中央气象台对巴蓬的路径预报。来自NMC
毫无疑问,巴蓬的台风雨是海南、广东、福建史上最晚,也是我国史上最晚。目前,官方预报已给出大到暴雨的预报,实际怎么样,还有一定变数,但这场台风雨是下定了。对干旱已久的广东、福建来说,巴蓬的雨是抗旱解渴的好雨、及时雨,将彻底缓解两省以及港澳旱情;不过,对海南文昌来说,这场雨可能会对卫星发射有少许影响,但因为海南不是台风影响重点,所以影响也不是很大。
官方预报已指出,12月28-29日广东福建有大到暴雨,但究竟下在哪里还有变数。来自NMC
巴蓬的影响将在元旦当天结束。因为,副热带高压很可能在元旦强势西伸,控制广东、台湾和海南沿海。这个暖冬,确实非常厉害。
