今年台风强度为何偏强;今年台风较少的原因
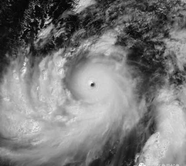
创意开头:“呜呜呜,天啊,布拉万这个台风简直就是突破人类极限的存在!”“没错,这可是目前全球风王的宝座,玛娃已经被超越,这个超级台风的风速和气压,甚至让人想起了79年的泰培!”“嘿嘿嘿,说实话,我这个不成器的人类,不但不会制造出这样的风力,连遇到这样的风也会吓得屁滚尿流。”“是啊,突如其来的台风眼,超乎想象的风速,让我们这些人类在大自然面前,显得如此渺小。”第一部分:时光倒流到10月10日,夜幕降临,突然,一个巨大的台风眼出现在海洋上空,随着时间的推移,这个台风越来越强大,最终成为了全球新的风王——布拉万台风。第二部分:面对这个巨大的台风,我的内心无比的慌乱,无论是从它的风速还是气压上,都可以看出它的强大。而关于这个台风,网上的舆论也是五花八门。

有人惊呼:“全球风王的宝座已经不再属于玛娃,布拉万简直是超越人类极限的存在!”而还有人则直接开玩笑:“嘿嘿嘿,说实话,我这个不成器的人类,不但不会制造出这样的风力,连遇到这样的风也会吓得屁滚尿流。”在我看来,这个台风不仅仅是大自然的威力展现,更重要的是它能够让人类感受到自己的渺小。而在网络上,各种评论也充分体现了人们对于大自然力量的敬畏和无奈。第三部分:事件的5个关键点:1.布拉万成为全球新的风王,超越了此前的风王玛娃。2.布拉万的风速和气压,甚至让人想起了79年的泰培。3.布拉万的直径超过了2000公里,神似1979年的超强台风泰培。4.未来的布拉万,将在太平洋上划一道标准的抛物线,不登陆任何地方。5.布拉万可能会拿到8.0的CI数值,可能会超过玛娃。关键点1和2,都是在强调布拉万的强大和突破人类极限的存在。
而关键点3,则是为了更加生动形象地描述这个超级台风的巨大,直径超过了2000公里,神似1979年的超强台风泰培。关键点4则揭示了布拉万的未来路线,而关键点5则是对布拉万未来的预估。第四部分:为什么会出现这种现象?我相信大自然有自己的规律和奥秘,每一个台风的形成,都是与大气环境、气压、风速、水温等等一系列因素相关,而我们人类对于大自然的认识,还只是皮毛。第五部分:而这个超级台风布拉万,让我想起了2013年的超级台风海燕。当时,这个台风还没有登陆,就已经引起了广泛的关注。而当它在10月8日登陆中国台湾时,造成了重大的损失,并且在登陆后对于中国的广东、广西、海南、云南等地造成了严重影响。而这个超级台风布拉万,虽然不登陆任何地方,但是它对于周边地区的风雨影响依旧不容小觑。第六部分:当然,台风不仅会影响到地方政府的应对,对于老百姓和相关利益人也会造成影响。
对于老百姓来说,台风可能会给他们的生活带来不便,比如停水停电,交通不便等等。而对于相关利益人,比如渔民、沿海企业等等,台风则会对他们的经济利益带来影响。第七部分:你对于台风布拉万有什么想法?你是否有过类似的经历?欢迎在评论区留言,与我们分享。话说近日,一则社会案件在网上引起了许多人的关注。经过调查,原来是一名年轻的女子在公交车上怒斥一名老年人占用座位,视频被拍下后在网上疯传,引来了许多网友的热议。(下面是重写的内容)“老太太,你这么大年纪还不懂得尊重别人吗?”一名年轻女子怒斥着占用座位的老年人。此时公交车上的乘客都静默着,有的人暗自叹息这种缺乏公德心的行为,有的人则暗自猜测这个女子会不会继续发飙。没想到,这个女子似乎被自己的话语所震住了,停了下来。她开始想,这个老太太可能有自己不能理解的原因,毕竟她也有自己的父母和祖父母。
于是,她向老太太道了一声歉,“对不起,我刚才有些冲动了。”公交车内的气氛变得轻松起来,所有人都为这个女子的勇气和道歉而欢呼。当然,这个故事并没有结束,它在网上引起了很大的反响。不少网友表示,这个女子的行为虽然有些过激,但她最终能够向老太太道歉,也表现出了一种善良和勇气。同时,这个事件也让他们看到了一种社会现象,就是人们对待老年人的态度逐渐变得糟糕。曾经的那种“尊老爱幼”的传统已经消失不见,现在的年轻人常常对老年人的生活习惯、言行举止等持。这种现象的根源在于我们的社会价值观发生了变化。以前,老年人通常被视为社会的“财富”,年轻人都会尊重他们并听从他们的建议。但现在,随着社会的发展,人们更加注重物质享受和个人利益,很多人对老年人的态度发生了变化。如果我们不及时采取措施,这种现象只会越来越严重。
因此,在我们日常生活中,我们应该更加尊重老年人,帮助他们解决问题,同时也要让年轻人了解到老年人的重要性。综上,这个事件对我们有很多的启示。我们应该从这个事件中发掘出其中的关键点:包括尊重老年人的重要性、社会价值观的改变、个人利益与社会责任的冲突。只有这样,我们才能真正认识到这个事件的深刻内涵,从而更好地面对未来的挑战。最后,我想举一个相似的例子。在某个地方,有一对年轻的夫妇在公共场合大声吵架,引起了众人的注意。有一个老年人走过来,试图劝他们停止争吵。但这对夫妇却视他为眼中钉,对他进行了恶语相向。最终,这个老年人气得离开了现场。这个事件在当地引起了极大的关注,大部分网友都对这对夫妇的行为进行了谴责。他们认为,这对夫妇的行为不仅缺乏公德心,而且对老年人的不敬已经到了无法容忍的地步。
这个事件也让人们意识到,对待老年人的态度已经变得越来越糟糕,如果我们不加以改变,那么这个社会将会变得越来越冷漠无情。最后,我想呼吁大家,无论在什么场合下,请尊重老年人,帮助他们解决问题,同时也要引导年轻人明白老年人的重要性。只有这样,我们才能让这个社会变得更加温暖。第一部分:“天降横财!”“哪来的横财?”“不是今年超强台风吗?强度强,寿命长,个性十足,影响巨大,都是财神爷派来的好消息啊!”“哦,原来如此!”以上对白不仅幽默,更切中了今年台风频繁的事实。今年,我国遭遇了多个超强台风的袭击,不仅给人们的生活造成了不小的影响,也引起了人们对于自然灾害频繁发生的担忧和思考。第二部分:“这年头,连台风都不给人留点喘息的时间!”某位网友在社交媒体上发出了这样一条感慨。今年,一系列超强台风的袭击,让人们感受到了自然灾害的巨大威力。
有人担忧,这种频繁的自然灾害是否与人类的活动有关,是否需要更多的保护和预防?也有人认为,台风虽然带来了不便,但也能带来一些好处,比如降温、增加降雨等等。个人看法是,超强台风的频繁发生,应该引起我们的高度关注和重视。我们需要认真思考,探索人类和自然之间的关系,寻求一种更加科学和合理的发展方式,让自然和人类之间实现更好的平衡。网上人们的看法也各有不同。有人认为,今年的超强台风,是全球气候变暖所引起的。也有人称,这是自然规律造成的,无法避免。我们需要更多的了解和研究,才能给出更加准确和科学的结论。第三部分:提炼事件的5个关键点:1.超强台风频繁发生,造成了极端的天气情况。2.台风的袭击给人们的生活带来了不便,但也有一些好处。3.超强台风的产生可能与人类的活动有关。4.人类需要寻求一种更加科学和合理的发展方式。5.对超强台风的研究和探索,有助于我们更好地了解自然规律。
详细描写5个关键点:1.今年超强台风频繁发生,强度大、寿命长、影响巨大,给人们的生活带来了极大的不便。比如,台风杜苏芮在福建、京津冀和黑龙江造成了极端暴雨,严重影响了当地的交通、农业和城市建设。2.虽然超强台风带来了不便,但也有一些好处。比如,台风可以降温、增加降雨,有助于缓解干旱等自然灾害。3.超强台风的产生可能与人类的活动有关。例如,全球气候变暖、环境污染等问题,都有可能影响到自然界的规律和平衡。4.人类需要寻求一种更加科学和合理的发展方式,让自然和人类之间实现更好的平衡。这需要我们不断探索,寻找一条可持续发展的道路。5.对超强台风的研究和探索,有助于我们更好地了解自然规律,从而采取更加有效的预防和应对措施。第四部分:为什么会出现这种现象,目前还没有一个确切的答案。但是,许多科学家和专家认为,这与全球气候变暖有关。
全球气候变暖导致海洋温度升高、气压变化等,这些都可能影响到台风的生成和发展。此外,环境污染、自然资源的过度开发等问题,也会对自然界的平衡产生不利影响,从而增加自然灾害的频率和强度。第五部分:举一个相似的例子,2017年,美国遭遇了史上最强的飓风“哈维”的袭击,致使休斯顿市区七成的地区淹水,总共造成数百人死亡、几十万人无家可归。当时,美国各界不仅关注救援和恢复重建工作,更在思考如何应对这种频繁发生的自然灾害。人们开始呼吁,应该采取更加积极的预防和措施,从而减少人类的损失和伤害。事件的影响程度,超强台风的发生不仅给人们的生活带来了不便,也引起了人们对于自然灾害频繁发生的担忧和思考。尤其是全球气候变暖等问题的出现,让人们认识到,自然和人类之间的关系需要更加谨慎和理性的把握。第六部分:对老百姓和相关利益人的影响,超强台风给老百姓生活带来了不便,例如交通堵塞、电力中断等等。
对于相关利益人而言,超强台风也会对其经济利益产生影响,例如农业、旅游等行业。因此,我们需要更加注意预防和应对措施,从而减少这种自然灾害对于人类的损失和影响。第七部分:最后,我想引导读者留言和评论。你对于今年超强台风的看法如何?你认为人类应该如何应对自然灾害?你有什么好的建议和意见?欢迎大家留言分享!第一部分:简述事件的经过“台风来了!台风来了!”这是我们在夏天时常听到的声音。但是在最近几年里,“超强台风”这个词却越来越频繁地出现在我们的视野里。今年,又有一场超强台风袭击了我国南方地区,造成了巨大的财产损失和人员伤亡。这一次,我们不禁要问,为什么最近几年来,超强台风的频率似乎越来越高呢?第二部分:表达对这件事的情绪+个人对此事的看法+网上人们对这件事的看法看到这些新闻,我不禁感到担忧,超强台风的威力越来越强,对人们的生命财产安全造成的威胁也越来越大。
我们应该加强对于台风的预警和防范,同时也要积极应对气候变化等全球性问题。网上有很多人对于这个问题进行了讨论,有些人认为,这是由于全球气候变暖导致的,海温升高,台风生成源地偏东,更容易寿命偏长,强度偏强。也有人认为,这是由于人类对于自然环境的破坏导致的,例如海洋垃圾等问题,让海洋的生态平衡被破坏,形成了恶性循环的局面。第三部分:提炼事件的5个关键点,详细描写5个关键点1. 全球气候变暖导致海温升高,台风生成源地偏东,更容易寿命偏长,强度偏强。2. 海洋垃圾等问题破坏了海洋生态平衡,加剧了气候变化。3. 台风对人们的生命财产安全造成的威胁越来越大。4. 加强对于台风的预警和防范,也要积极应对气候变化等全球性问题。5. 这是一个全球性问题,需要全人类共同应对。第四部分:为什么会出现这种现象超强台风的出现,是由于全球气候变暖和海洋生态平衡破坏等多重因素共同作用的结果。
气候变暖导致海水温度升高,这使得台风生成源地偏东,更容易寿命偏长,强度偏强。而人类对于自然环境的破坏,例如海洋垃圾等问题,让海洋的生态平衡被破坏,这又加剧了气候变化。因此,我们应该加强对于环境保护的意识,保护好我们的家园。第五部分:举一个相似的例子,并说明细节,当时舆论的看法。事件的影响程度2013年,菲律宾遭受了史上最强的超强台风“海燕”的袭击,这场台风共造成超过6,000人死亡和数以百万计人口受灾。这场台风的影响极其严重,整个国家几乎陷入了瘫痪。当时,全世界的舆论都在关注这场灾难,人们纷纷为受灾的人们祈祷,捐款捐物,尽力帮助他们渡过难关。第六部分:对老百姓和相关利益人的影响超强台风对老百姓和相关利益人的影响非常大。台风的猛烈袭击直接影响到人们的生命财产安全,许多人失去了家园和工作,导致了巨大的经济损失。
同时,超强台风对于农业、渔业等行业也造成了极大的影响,许多人失去了收入来源,生活陷入了困境。第七部分:引导读者评论作为一个公民,我们应该积极参与到环保事业中来,保护好我们的家园。在遇到自然灾害时,我们也应该给予受灾的人们帮助和支持,共同渡过难关。现在就让我们一起留言,分享你们的看法和想法吧!
